$65,000
$70,999
8.4%For more information regarding the value of a property, please contact us for a free consultation.
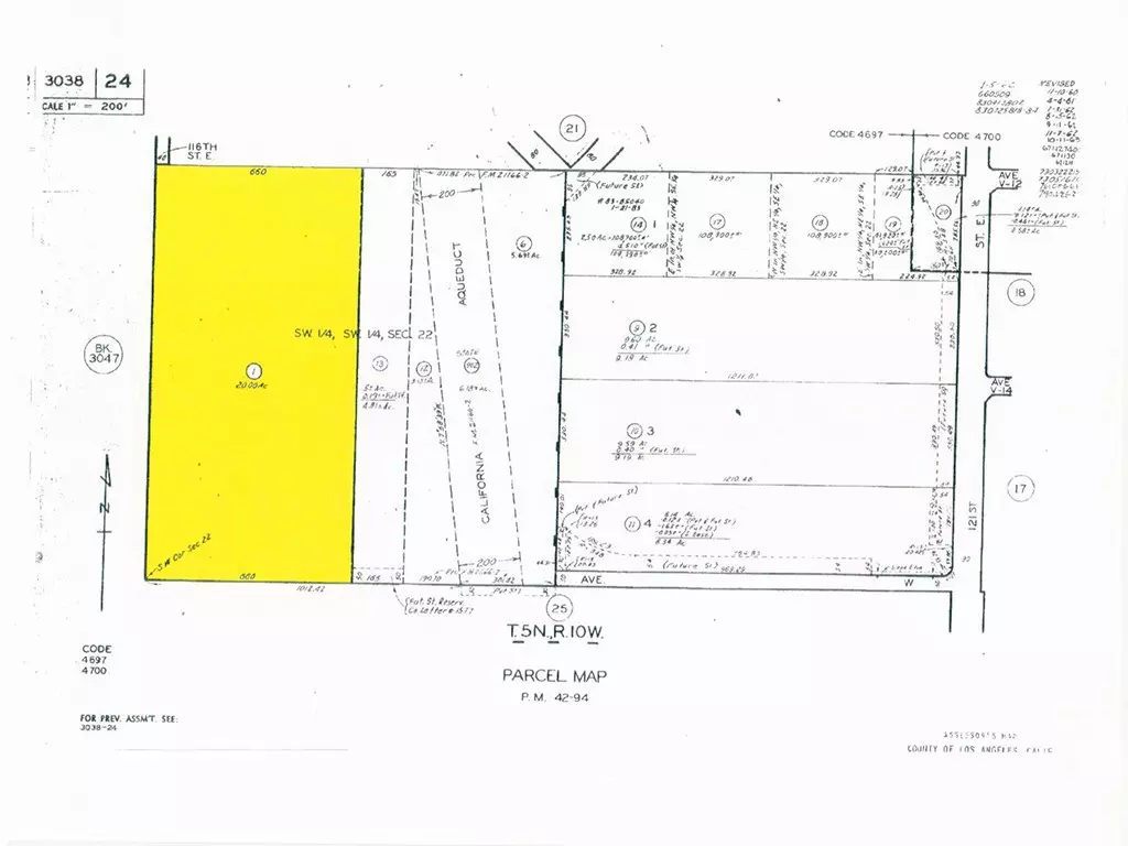
19.94 Acres Lot
SOLD DATE : 03/03/2022
Key Details
Sold Price $65,000
Property Type Vacant Land
Listing Status Sold
Purchase Type For Sale
MLS Listing ID SR17157807
Sold Date 03/03/22
HOA Y/N No
Lot Size 19.945 Acres
Property Description
PRICE REDUCTION! 19.94 +/- Acres on 116 Street east dirt road with Electricity in the Street. Zoned LCRA10000-RA1* (Residential) Just south of Pearblossom Hwy. Great chance to invest in this Residential property. Very accessible parcel in Pearblossom foothills. Nice homes in the area. Gently rolling topography - elevated location presents many opportunities to take advantage of the view of the San Gabriel Mountains in the distance in most directions. Just at the edge of the town of Pearblossom and close to Mt. High Ski resort. You may google the following GPS coordinates to locate the property: 34.501889 -117.921539
Location
State CA
County Los Angeles
Area Pblm - Pearblossom
Zoning LCRA10000-RA1*
Interior
Fireplace No
Exterior
Community Features Suburban
Utilities Available Electricity Available
View Y/N Yes
View Mountain(s), Pasture
Building
Lot Description Horse Property, Rectangular Lot, Value In Land
Water Other
New Construction No
Others
Senior Community No
Tax ID 3038024001
Acceptable Financing Cash, Cash to New Loan, Conventional, Owner May Carry, Submit
Horse Property Yes
Listing Terms Cash, Cash to New Loan, Conventional, Owner May Carry, Submit
Financing Cash
Special Listing Condition Standard
Read Less Info
Want to know what your home might be worth? Contact us for a FREE valuation!

Our team is ready to help you sell your home for the highest possible price ASAP

Bought with Richard Khatibi Rich Estate Props
GET MORE INFORMATION

REALTOR® | Lic# 02111780







